Message important :BAnQ numérique évolue pour mieux vous servir
BAnQ numérique a été modernisé afin de mettre à niveau sa plateforme technologique, dans le but d’améliorer la performance et l’accessibilité sur tous les écrans, tout en assurant la durabilité du service.
N’hésitez pas à nous faire part de vos commentaires via ce formulaire.
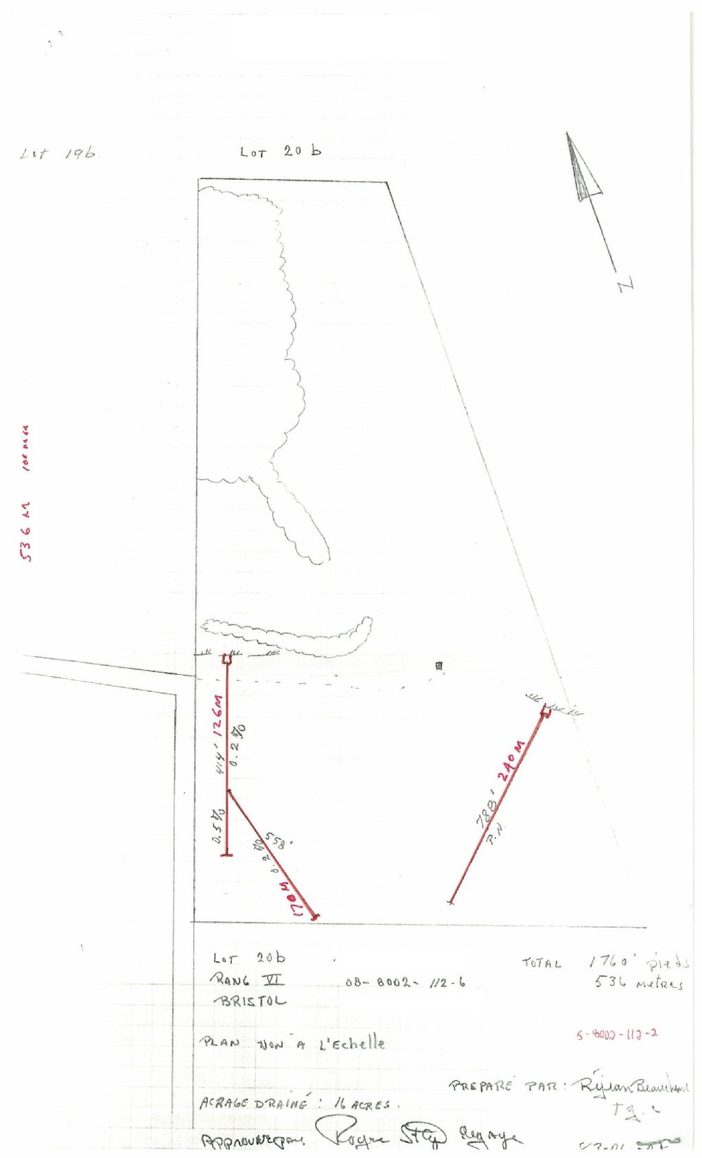
Plan de drainage souterrain annoté pour la municipalité du canton de Bristol, comté de Pontiac. Préparé pour le compte du Ministère de l¿Agriculture du Québec.
Plan de drainage souterrain annoté pour la municipalité du canton de Bristol, comté de Pontiac. Préparé pour le compte du Ministère de l¿Agriculture du Québec.
Le lien est la meilleure manière de partager ou de conserver une ressource.
Il est basé sur l'ARK (Archival Resource Key), un identifiant pérenne. Seules les suppressions et les nouvelles numérisations pourraient rendre ce lien invalide.
Ce document ne peut être affiché par le visualiseur. Vous devez le télécharger pour le voir.
Lien de téléchargement:
Document disponible pour consultation sur les postes informatiques sécurisés dans les édifices de BAnQ. À la Grande Bibliothèque, présentez-vous dans l'espace de la Bibliothèque nationale, au niveau 1.